Huracán Melissa amenaza a Jamaica con vientos de más de 300 km/h y severas inundaciones
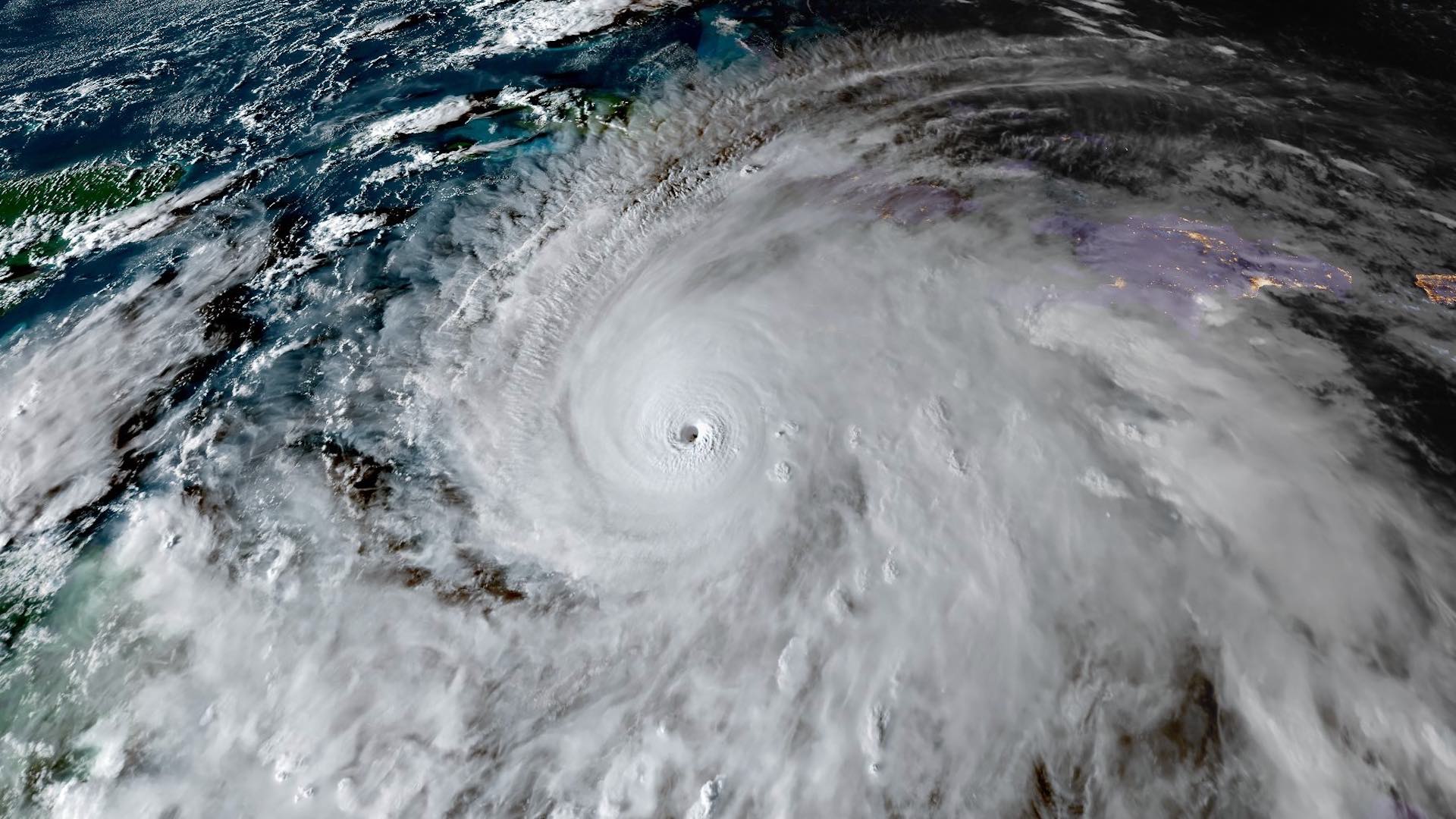
El huracán Melissa, de categoría 5, se aproxima a Jamaica con vientos que superan los 300 kilómetros por hora, fuertes lluvias y peligrosas marejadas ciclónicas. Las autoridades locales y organismos internacionales han advertido que podría ser la tormenta más fuerte que ha impactado la isla en este siglo.
De acuerdo con la Organización Meteorológica Mundial (OMM), se esperan marejadas de hasta cuatro metros y precipitaciones que podrían superar los 70 centímetros, lo que provocaría inundaciones repentinas y deslizamientos de tierra. La especialista Anne-Claire Fontan describió el fenómeno como una situación “catastrófica” para el país caribeño.
El Centro Nacional de Huracanes de Estados Unidos (NHC) prevé que Melissa toque tierra el martes y posteriormente avance hacia el este de Cuba, las Bahamas y las Islas Turcas y Caicos. El movimiento lento del huracán sobre aguas cálidas ha intensificado su fuerza, lo que aumenta los riesgos para la población.
La Federación Internacional de la Cruz Roja (FICR) estima que hasta 1.5 millones de personas podrían verse afectadas directamente en Jamaica. Más de 800 refugios se han habilitado y se han distribuido artículos esenciales como mantas, agua potable y kits de higiene.
El primer ministro Andrew Holness ordenó evacuaciones obligatorias en zonas del sur de la isla, incluida la histórica ciudad de Port Royal. Advirtió sobre posibles daños graves en viviendas, cultivos e infraestructura, recordando que “no hay infraestructura en la región que pueda soportar una categoría 5”.
El gobierno jamaiquino cuenta con un fondo de emergencia de 33 millones de dólares y seguros para cubrir los daños, en una respuesta similar a la que se aplicó tras el paso del huracán Beryl en 2024.
El meteorólogo Jonathan Porter, de AccuWeather, señaló que los grandes huracanes de movimiento lento suelen ser los más destructivos. En tanto, Damian Anderson, residente de las Montañas Azules, relató que las carreteras ya son intransitables: “No podemos movernos. Tenemos miedo”.
Mientras tanto, Haití y República Dominicana ya enfrentan lluvias intensas que han dejado al menos cuatro víctimas, y las autoridades de Cuba y Bahamas han comenzado evacuaciones preventivas ante el avance del fenómeno.
Foto: X @CIRA_CSU
México se compromete a entregas anuales de 432 millones de metros cúbicos de agua del Río Bravo a EE. UU.
El Gobierno de México aceptó entregar a Estados Unidos un volumen anual de agua del Río Br…





